1997 Pacific hurricane season

1997 Pacific hurricane season
Season summary map
First system formed June 1, 1997
Last system dissipated December 6, 1997
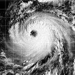
Strongest storm1 Linda (Second most intense hurricane in the Pacific basin) – 902 mbar (hPa) (26.64 inHg), 185 mph (295 km/h) (1-minute sustained)
Total depressions 24
Total storms 19
Hurricanes 9
Major hurricanes (Cat. 3+) 7
Total fatalities 261-531
Total damage $551 million (1997 USD)
1Strongest storm is determined by lowest pressure
Pacific hurricane seasons
1995, 1996, 1997, 1998, 1999
Related article

The 1997 Pacific hurricane season was a very active hurricane season. With hundreds of deaths and hundreds of millions of dollars in damage, this season was one of the costliest and deadliest Pacific hurricane seasons. This was due to the exceptionally strong 1997–98 El Niño event. The 1997 Pacific hurricane season officially started on May 15, 1997 in the eastern Pacific, and on June 1, 1997 in the central Pacific, and lasted until November 30, 1997. These dates conventionally delimit the period of each year when almost all tropical cyclones form in the northeastern Pacific Ocean.

Several storms impacted land. The first was Tropical Storm Andres which killed four people and left another two missing. In August, Tropical Storm Ignacio took an unusual path, and its extratropical remnants caused minor damage in the Pacific Northwest and California. Linda became the most intense east Pacific hurricane in recorded history. Although it never made landfall, it produced large surf in Southern California and as a result five people had to be rescued. Hurricane Nora caused flooding and damage in the Southwestern United States, while Olaf made two landfalls and caused eighteen deaths and several other people were reported missing. Hurricane Pauline killed several hundred people and caused record damage in southeastern Mexico. In addition, Super Typhoons Oliwa and Paka originated in the region before crossing the International Date Line and causing significant damage in the western Pacific. There were also two Category 5 hurricanes: Linda and Guillermo.

Activity in the season was above average. The season produced 17 named storms, which was a little above normal. The average number of named storms per year is 15. The 1997 season also had 9 hurricanes, compared to the average of 8. There were also 7 major hurricanes compared to the average of 4.[1]

Season summary

The 1997 Pacific hurricane season officially started on May 15, 1997 in the eastern Pacific, and on June 1, 1997 in the central Pacific, and lasted until November 30, 1997. These dates conventionally delimit the period of each year when most tropical cyclones form in the northeastern Pacific Ocean.[2] This season exceeded these boundaries appreciably, as Tropical Storm Paka formed December 2, and dissipated nineteen days later after crossing the International Dateline and then moved into the Western Pacific.[3]

The 1997 Pacific hurricane season was fairly active, due to the strong El Niño that was occurring at the time. El Niño causes wind shear to be reduced and water temperatures to increase, resulting in conditions more conductive for tropical cyclones in the East Pacific. There were 24 cyclones in total, including five unnamed tropical depressions. Of these, 19 were in the east Pacific (east of 140°W). Of these, eight peaked at tropical storm intensity, while ten reached hurricane status. Seven of these reached Category 3 intensity or higher on the Saffir-Simpson hurricane scale, including central Pacific cyclones Super Typhoons Oliwa and Paka, which became typhoons after crossing into the western Pacific. The first hurricane of the year was Hurricane Dolores, and the first major hurricane was Hurricane Enrique. Most months during the year had several storms,[3] but no records were set for storms in any particular month.

Activity in the central Pacific was also above average. Two tropical storms formed, as did several tropical depressions. A number of storms moved in from the east. With a total of nine tropical cyclones entering or forming there, this was the fourth highest number since satellite observations began.[4] The first storm formed on June 1. The last storm dissipated December 21, which gives this season the latest known end. However, if December 6, the date the last storm crossed the dateline is taken to be the end, this season has the second latest end, behind the 1983 season and tied with the 1957 season.[3]

Season summary and statistics

Typhoon Paka Hurricane Rick (1997) Hurricane Pauline Tropical Storm Olaf (1997) Hurricane Nora (1997) Hurricane Linda (1997) Typhoon Oliwa Tropical Storm Ignacio (1997) Hurricane Guillermo (1997) Tropical Storm Andres (1997) Saffir–Simpson hurricane wind scale
Saffir–Simpson hurricane wind scale
TD TS C1 C2 C3 C4 C5

The season began with the formation of Tropical Depression One-E on June 1 and ended with the dissipation of Tropical Depression Paka on December 22. The season can alternatively be considered to end on December 6, the day Tropical Storm Paka crossed the international dateline. No named storms formed in May, three in June, four in July, four in August, five in September, one in October, and one in November. Very unusually, a tropical storm formed in December, after the season ended. The other two times this feat occurred since the satellite era began in 1971 were in 1983 and 2010.

Storms

Tropical Storm Andres

Tropical storm (SSHWS)
Duration June 1 – June 7
Peak intensity 50 mph (85 km/h) (1-min)  998 mbar (hPa)

Andres originated from a disturbance that slowly organized and formed into Tropical Depression One-E on June 1. The next day, it reached tropical storm status as a second circulation formed north-northwest of the initial circulation. However, the former circulation became dominant, and Andres intensified slightly. After a brief period of a normal track to the northwest, Andres was picked up by westerly winds and became the first named storm to threaten Central America. Initially forecast to cross the isthmus and enter the Caribbean Sea, Andres instead turned to the southeast and paralleled the coast. This was the first time since record-keeping began that any East Pacific storm had taken such a path. Andres then turned back to the northeast. It weakened to a depression and made landfall near San Salvador on June 7 and dissipated shortly thereafter.[5]

Among the casualties were two fishers who were reported missing. Andres caused power outages, flooding rivers, several car crashes, and damage to roughly ten homes.[5] The highest rainfall report from Mexico was 11.42 inches (290 mm) at Mazatan.[6] Damage was noted in parts of Nicaragua.[5] Andres also killed four people in Usulután, El Salvador due to heavy flooding.[7]

Tropical Storm Blanca

Tropical storm (SSHWS)
Duration June 9 – June 12
Peak intensity 45 mph (75 km/h) (1-min)  1002 mbar (hPa)

Tropical Depression Two-E formed from a broad area of low pressure on June 9. Six hours later the depression strengthened into Tropical Storm Blanca. This system developed a good outflow, and reached its peak intensity with winds of 45 mph (75 km/h). However, its circulation was not well-defined and a weakening trend began, and Blanca was downgraded to a depression on June 12. It lost its closed circulation shortly thereafter and was thus declared dissipated.[8]

Blanca briefly threatened land on June 10 as warnings and watches were established by the Mexican Servicio Meteorológico Nacional. Shortly thereafter, a ridge of high pressure turned Blanca away from the coast.[8] As Blanca moved just south of the Mexican coast, it dropped a total of 5.77 inches (147 mm) of rainfall at Fincha Chayabe/Maragaritas.[9] There were no major damage or casualties as Blanca's impact was generally minimal.[8]

Tropical Depression Three-E

Tropical depression (SSHWS)
Duration June 21 – June 24
Peak intensity 35 mph (55 km/h) (1-min)  1006 mbar (hPa)

Tropical Depression Three-E formed June 21. Moving rapidly westward, it never strengthened and the winds of the depression soon decreased. It dissipated early on June 24.[10] The depression never impacted land.

Tropical Storm Carlos

Tropical storm (SSHWS)
Duration June 25 – June 28
Peak intensity 50 mph (85 km/h) (1-min)  996 mbar (hPa)

On June 22, showers increased associated with a tropical wave several hundred miles away from land. Three days later, deep convection became more concentrated, and the system became a tropical depression. It intensified into Tropical Storm Carlos as banding features increased and the outflow became better defined. As it moved west, convection diminished as Carlos moved into cooler water. Shortly thereafter, increased wind shear took its toll on Carlos as the low-level center became exposed from the deep convection. Carlos weakened into a depression early on June 27, and dissipated June 28. However, a swirl of clouds remained for a couple of days. Except for Socorro Island, which the system passed close to, Carlos never threatened land. No indications of casualties or damage were reported.[11]

Tropical Depression Five-E

Tropical depression (SSHWS)
Duration June 29 – July 4
Peak intensity 35 mph (55 km/h) (1-min)  1004 mbar (hPa)

On the afternoon of June 29, Tropical Depression Five-E formed. It erratically moved westward. On July 1, the depression weakened slightly, but quickly reintensified. It dissipated on July 4, without even threatening land.[12]

Hurricane Dolores

Category 1 hurricane (SSHWS)
Duration July 5 – July 12
Peak intensity 90 mph (150 km/h) (1-min)  975 mbar (hPa)

In early July, shower activity increased in association with an area of disturbed weather. With surface pressures lower than normal for a tropical disturbance, deep convection increased further and Tropical Depression Six-E formed late on July 5 and reaching tropical storm status the following day and was named Dolores. Despite moderate wind shear, very cold cloud tops formed as the winds increased to 50 mph (80 km/h), a moderate tropical storm. Moving westward, Dolores strengthened into the first hurricane of the season on July 7 as a ragged eye formed.[13]

Dolores continued to intensify and it reached a peak windspeed of 90 mph (140 km/h), a strong Category 1 hurricane, two days later. Meanwhile, Dolores became the first hurricane in over two years to cross longitude 125°W. Shortly thereafter, the hurricane started losing strength as it moved over cooler waters. The eye dissipated from satellite imagery while the associated thunderstorm activity became sheared. Dolores weakened back into a tropical storm on July 10 and a tropical depression the next day. The cyclone then crossed into the Central Pacific Hurricane Center's area of responsibility (west of longitude 140°W) while producing minimal shower activity. It dissipated on July 12. The hurricane was not a threat to any land.[13]

Hurricane Enrique

Category 3 hurricane (SSHWS)
Duration July 12 – July 16
Peak intensity 115 mph (185 km/h) (1-min)  960 mbar (hPa)

The first major hurricane of the season originated from a broad area of low pressure on July 8 near the Gulf of Tehuantepec. The thunderstorms gradually became more concentrated and a tropical depression formed on July 12. It strengthened into a tropical storm twelve hours later, and then began to rapidly intensify as convection increased further near the center. It became a hurricane on July 13. Enrique continued to steadily intensify and became a Category 2 hurricane on July 14. The next day, Enrique reached its peak intensity of 115 mph (185 km/h) and peak pressure 960 mbar (hPa) on July 14. Shortly thereafter, the hurricane outflow became asymmetrical and it began to weaken over cool waters. It weakened fairly quickly and was downgraded into a Category 2 hurricane on July 15. It then lost hurricane intensity later that day. On July 16 the winds had decreased further to 50 mph (80 km/h). Enrique weakened into a depression the next day, and degenerated into a swirl of clouds shortly thereafter. The system never threatened land.[14]

Hurricane Felicia

Category 4 hurricane (SSHWS)
Duration July 14 – July 22
Peak intensity 130 mph (215 km/h) (1-min)  948 mbar (hPa)

A large area of disturbed weather formed on July 13. It then organized into a depression south of Manzanillo, Colima, on July 14. Intensification was delayed by wind shear due to its proximity to Enrique for about two days. However, it became a tropical storm late July 15 as it moved west-northwestward. Continuing to intensify, an eye formed. Based on this, Felicia was upgraded into a hurricane on July 17. Its development was again halted by increased wind shear, and as such it leveled off in intensity. After the shear decreased, Felicia began to intensify and the hurricane's winds reached 135 mph (217 km/h) and its pressure fell to 948 mbar (hPa), making it a moderate low-end Category 4 hurricane. Shear increased for the third time, and then moved into cooler waters. It began to weaken as it moved west-northwest. On July 20, it lost major hurricane intensity. Shortly before being downgraded to a tropical storm, it crossed 140°W. A strong wind shear took toll on Felicia and it was downgraded into a tropical depression July 22. No damage or deaths were reported in wake of the hurricane.[15]

Tropical Depression One-C

Tropical depression (SSHWS)
Duration July 26 – July 27
Peak intensity 30 mph (45 km/h) (1-min)  1007 mbar (hPa)

Tropical Depression One-C formed on July 26 from a disturbance that had been showing signs of organization for the past three days. It moved west to southwest through an unfavorable environment. On the morning of July 27, it dissipated due to strong wind shear caused by an upper-level trough. The system never impacted land, thus no damage was reported.[4]

Hurricane Guillermo

Category 5 hurricane (SSHWS)
Duration July 30 – August 15
Peak intensity 160 mph (260 km/h) (1-min)  919 mbar (hPa)

A tropical wave emerged into the Pacific Ocean on July 27. It organized into a depression July 30 and was named Tropical Storm Guillermo the next day. It quickly intensified, reaching hurricane status on August 1. Guillermo became a major hurricane August 2. It reached Category 4 intensity on August 3. Continuing to rapidly intensify, Guillermo attained Category 5 strength August 4. The tropical cyclone peak intensity was 919 mbar (hPa) and 160 mph (260 km/h).[16]

Guillermo then weakened slowly, becoming a tropical storm August 8. It crossed 140°W and entered the Central Pacific. It weakened to a depression late August 10, but restrengthened back into a storm 24 hours later when it encountered a small area of warmer water. It weakened to a depression for the second and final time August 15 and became an extratropical cyclone early the next day. The storm's remnants recurved over the far northern Pacific. They were tracked to a point 500 nautical miles (930 km) west of Vancouver Island. The remnants persisted for a few more days and drifted south before being absorbed by a mid-latitude cyclone August 24 off the coast of California.[16]

Tropical Storm Hilda

Tropical storm (SSHWS)
Duration August 10 – August 15
Peak intensity 50 mph (85 km/h) (1-min)  1000 mbar (hPa)

A tropical wave that had showed signs of development emerged into the East Pacific and organized into Tropical Depression Ten-E on August 10. Despite some wind shear, the depression managed to become a tropical storm late on August 11. Hilda reached its peak intensity as a moderate 50 mph (85 km/h) tropical storm the next day. After maintaining its peak intensity for 24 hours, it gradually weakened due to increasing wind shear On August 14, shear weakened Hilda to a depression and the cyclone dissipated early the next morning. Hilda was no threat to land and caused no known damage or deaths.[17]

Tropical Storm Ignacio

Tropical storm (SSHWS)
Duration August 17 – August 19
Peak intensity 40 mph (65 km/h) (1-min)  1005 mbar (hPa)

Tropical Storm Ignacio formed first as a depression in an area of disturbed weather on August 17. Twelve hours later, it organized into a tropical storm. Its location of tropical cyclone formation was further north and west of where most East Pacific tropical cyclones develop.[18] Steering currents pulled Ignacio north, where it encountered wind shear and cooler waters. Ignacio never intensified beyond 40 mph (65 km/h) and then was downgraded into a depression on August 18. It last transitioned into an extratropical cyclone 24 hours later. It was then absorbed by a cyclone associated with the remnants of Hurricane Guillermo.[18]

Ignacio's remnants moved north, bringing gusty winds to California coastal waters before dissipating.[19] Severe flooding was recorded along Highway 97 with a debris flow estimated at 0.5 mi (0.80 km) and 7 ft (2.1 m) deep.[20] They caused rainfall as far north as the U.S. state of Washington.[21] Thunderstorms caused power outages in central California.[18]

Hurricane Jimena

Category 4 hurricane (SSHWS)
Duration August 25 – August 30
Peak intensity 140 mph (220 km/h) (1-min)  942 mbar (hPa)

During the third week of August, a tropical disturbance formed far from land. Although the system was located over warmer than average sea surface temperatures, the upper-level environment was initially unfavorable. However the environment gradually became more conducive for tropical cyclone formation and Tropical Depression Twelve-E formed August 25 from an area of disturbed weather in a rather easterly location. It became a tropical storm the next day and a hurricane on August 27. Intensification was rapid, with winds increasing from 75 mph (121 km/h) to 115 mph (185 km/h) in just 6 hours. Continuing to rapidly intensify, it reached its peak intensity as a low-end category 4 hurricane.[22] After maintaining peak intensity for 30 hours, it moved north-northwest and encountered increasing wind shear which reduced its winds from 115 mph (185 km/h) to 35 mph (56 km/h) in just 24 hours. Jimena completely dissipated on August 30, not long after entering the Central Pacific Basin. Hurricane Jimena was of no threat to land.[22]

Tropical Storm Oliwa

Tropical storm (SSHWS)
Duration September 2 – September 4 (Out of basin)
Peak intensity 40 mph (65 km/h) (1-min)  1004 mbar (hPa)
Main article: Typhoon Oliwa

Tropical storm Oliwa began as a tropical disturbance that had meandered south of Johnston Atoll. It organized into Tropical Depression Two-C on September 2. Later that day, it was upgraded to Tropical Storm Oliwa (Hawaiian for Oliver) as it slowly moved towards the west.[4] It crossed the dateline late on September 3 and entered the Joint Typhoon Warning Center's Area of Responsibility.[23]) In the Pacific Ocean, tropical cyclones are not renamed when they cross basin boundaries, so Oliwa kept its name.[4]

Oliwa passed south of Wake Island on September 6, where it caused heavy rains but no damage. On September 7, Oliwa started a period of rapid strengthening, becoming a typhoon on September 8 and a Super Typhoon eight hours later. Oliwa stayed at that intensity for over two days. While still a strong typhoon, Oliwa passed near the Northern Marianas Islands. It then started weakening as it curved towards Japan. It made landfall as a minimal typhoon September 16. It quickly dissipated later that same day.[24] Typhoon Oliwa caused 12 fatalities and left 30,000 people homeless. Damage totaled to 4.36 billion yen ($50.1 million USD).[25][26]

Tropical Storm Kevin

Tropical storm (SSHWS)
Duration September 3 – September 7
Peak intensity 60 mph (95 km/h) (1-min)  994 mbar (hPa)

Tropical Storm Kevin, first displayed hints of development while located near Panama, and developed a well-defined circulation after emerging into the Pacific. It was classified as a tropical depression in the Pacific on September 3 while located south-south west of Baja California. Convection increased and the outflow of the storm became better defined. As such, it became a tropical storm on the morning of September 4. Gradually intensifying, it reached it peak intensity as a mid-level tropical storm on September 5. As it moved westbound, it maintained its intensity for 12 hours. The environment was unfavorable, and two days later, Kevin weakened to a depression when deep convection ceased. It dissipated early on September 7, having never posed a threat to land.[27]

Hurricane Linda

Category 5 hurricane (SSHWS)
Duration September 9 – September 17
Peak intensity 185 mph (295 km/h) (1-min)  902 mbar (hPa)

A tropical disturbance formed on September 9 and became Tropical Depression Fourteen-E later that day. The cyclone moved northwest and strengthened into a tropical storm on September 10. Linda then rapidly intensified reaching hurricane intensity the next day as an eye formed. It peaked in intensity on September 12 with it reaching a maximum windspeed of 185 mph (298 km/h)—enough to make it a Category 5 hurricane on the Saffir-Simpson Hurricane Scale—and a minimum pressure of 902 mbar (902 hPa), making it the most intense Pacific hurricane ever recorded until Hurricane Patricia took its place in 2015. However, Linda soon moved over cooler waters, and lost hurricane intensity on September 16. It then slowly weakened and dissipated on September 17.[28]

Linda passed very near Socorro Island.[28] In addition, early forecasts predicted that Linda would make landfall in California. The landfall never materialized and warnings or watches were not necessary for any location. However, Linda caused large surf, which crashed ashore in California, where it swept five people off a jetty. Moisture related to Linda also contributed to a landslide in southern California that destroyed or damaged 79 houses.[29]

Tropical Storm Marty

Tropical storm (SSHWS)
Duration September 12 – September 16
Peak intensity 45 mph (75 km/h) (1-min)  1002 mbar (hPa)

An area of disturbed weather formed early on September 10. It became better organized two days later as convection increased, and then organized into Tropical Depression Fifteen-E late on September 12. Moving slowly in a westward direction, it strengthened into a tropical storm in the morning of September 14. Later that day, the system reached its peak intensity of 45 mph (72 km/h). Meanwhile, the storm's forward speed slowed down even more, and it turned to the south. It then encountered an area of strong wind shear, and it weakened into a depression on September 15 as the center of circulation became displaced from the deep convection. The shear continued to weaken, and the tropical cyclone dissipated late on September 16. There were no deaths or damage.[30]

Hurricane Nora

Category 4 hurricane (SSHWS)
Duration September 16 – September 26
Peak intensity 130 mph (215 km/h) (1-min)  950 mbar (hPa)
Main article: Hurricane Nora (1997)

A large area of disturbed weather moved into the Pacific on September 12. It then organized into Tropical Depression Sixteen-E on September 16 and quickly strengthened into a tropical storm. Early on September 18, a poorly defined and ragged eye appeared on infrared imagery. Shortly thereafter, its winds reached 105 mph (169 km/h). Nora eventually peaked at Category 4. It then encountered water temperature anomalies, and fluctuated in strength. Then, a trough pulled Nora northward and accelerated the storm. After weakening to a Category 1, Nora made landfall in northern Baja California and stayed a tropical storm as it entered the United States. At that time, however, most of the deep rest convection was displaced to the northeast. Nora dissipated over Arizona, but its remnants kept going north.[31]

Hurricane Nora was the first Pacific hurricane to bring gale-force winds to the Continental United States since Kathleen in 1976.[32] In Mexico, Nora produced high waves, flooding, and heavy damage. Many homes were destroyed. In the United States, rains were heavy, and damage amounted to several hundred million dollars. Several hundred people were rendered homeless, and there was wind and flood damage in Arizona. Nora killed two people in Mexico, and several indirect deaths were reported in California.[31]

Tropical Storm Olaf

Tropical storm (SSHWS)
Duration September 26 – October 12
Peak intensity 70 mph (110 km/h) (1-min)  989 mbar (hPa)

A tropical disturbance left Central America on September 22. Despite some wind shear, the system gradually became better organized and a tropical depression formed September 26, being upgraded to a tropical storm several hours later. The cyclone immediately moved north. Instead of strengthening into a hurricane before landfall as forecasted, Olaf weakened due to its proximity to land. On September 29, Olaf made landfall near Salina Cruz, Oaxaca.[33]

Olaf, as a tropical depression, moved westward, far out to sea. Operationally, Olaf was believed to have dissipated for six days. however, in the Tropical Cyclone Report, a report issued several months after the hurricane's duration, it was believed to have remained a tropical cyclone the entire time. After restrengthening slightly, Olaf moved southeast on October 5 due to the influence of Hurricane Pauline. Olaf then turned north, and on October 12 made a second landfall near Manzanillo, Colima, as a tropical depression. Olaf's surface circulation weakened, and its remnants moved back out to sea, but did not redevelop.[33]

Olaf resulted in some reports of damage and flooding in Mexico and Guatemala. During two time frames, from September 27 through October 2 and 10 through October 16, a total of 27.73 inches (704 mm) of rainfall fell in association with Olaf in Soyalapa/Comaltepec.[34] Several people were reported missing. Most of its damage was from its first landfall.[33] Throughout Southern Mexico, Guatemala and El Salvador, flooding caused by Olaf was blamed for eighteen deaths.[35]

Hurricane Pauline

Category 4 hurricane (SSHWS)
Duration October 5 – October 10
Peak intensity 130 mph (215 km/h) (1-min)  948 mbar (hPa)
Main article: Hurricane Pauline

On October 3, a distinct area of disturbed weather formed. It drifted eastbound, and a well-defined low pressure soon formed. It became Tropical Depression Eighteen-E on October 5. Early the next day it intensified into tropical Storm Pauline. An eye feature developed on October 7 and as such Pauline was upgraded into a hurricane. In a favorable environment, the cyclone rapidly intensified, reaching Category 4 intensity. After fluctuating in intensity, interaction with land weakened Pauline to a Category 2 by the time it made landfall on October 9. It accelerated to the northwest, and passed over a mountainous region. The mountains disrupted Pauline's circulation, and squeezed the moisture from the hurricane. Pauline dissipated on October 10 while over Jalisco.[36]

Hurricane Pauline was the deadliest storm of the season. Landslides and flooding caused by heavy rain caused tragic loss of life and left thousands homeless. There were at least 230 casualties. The Red Cross reported that 400 people died, but this was disputed by Mexican officials. Pauline was Mexico's deadliest hurricane since 1976's Liza.[36] In addition, the hurricane caused $447.8 million in damage (1997 USD; $473 million 2008 USD).[37]

Tropical Depression Three-C

Tropical depression (SSHWS)
Duration October 6 – October 7
Peak intensity 30 mph (45 km/h) (1-min) 

A tropical disturbance formed near 140°W. It became Tropical Depression Three-C on October 6. The waters were very warm, and there was only moderate wind shear. However, the depression slowly moved westward without intensifying, and dissipated the next day.[4]

Tropical Depression Four-C

Tropical depression (SSHWS)
Duration October 30 – October 31
Peak intensity 35 mph (55 km/h) (1-min)  1012 mbar (hPa)

A tropical disturbance formed in late October. It became Tropical Depression Four-C on October 30 well southwest of Hawaii. Although the waters were very warm, some dry air was located north of the system. It slowly moved westward without intensifying, and dissipated the next day as the circulation became exposed.[4][4]

Hurricane Rick

Category 2 hurricane (SSHWS)
Duration November 7 – November 10
Peak intensity 100 mph (155 km/h) (1-min)  973 mbar (hPa)
Main article: Hurricane Rick (1997)

The first hurricane in November since 1991[3] formed from a tropical disturbance. Although the circulation was initially poorly defined, it later acquired enough organization and was classified as a tropical depression on November 7. It moved north until a trough of low pressure turned it to the northeast. It was named on November 8, and was upgraded to a hurricane the next day. It reached its peak intensity of 100 mph (160 km/h) and 973 mbar (hPa). Rick made landfall in Oaxaca – the same area devastated by Hurricane Pauline one month earlier – and quickly weakened, dissipating early on November 11.[38]

The storm downed trees, washed out recently repaired roads, and disrupted communications in some small population centers. A total of 10.47 inches (266 mm) of rain was reported at Astata/San Pedro Huameluca near the point of landfall in Mexico.[39] No one was killed.[38]

Rick is one of only eight known hurricanes to form in the Pacific Ocean east of the dateline in the month of November. The other ones are Nina, Tara, Iwa, Nora, Sergio, Kenneth, and Sandra of which only Rick, Tara, and Iwa directly impacted land. It was also the second-latest landfalling Pacific hurricane.[3]

Tropical Storm Paka

Tropical storm (SSHWS)
Duration November 28 – December 6 (Exited basin)
Peak intensity 65 mph (100 km/h) (1-min)  992 mbar (hPa)
Main article: Typhoon Paka

Tropical Depression Five-C formed on December 2, two days after the season ended. It was the second December tropical depression east of the dateline; 1983's Hurricane Winnie was the only other one.[3] The depression strengthened into Tropical Storm Paka (Hawaiian for Pat[4]) while west of Palmyra Atoll. The system began to move westward at a steady pace.[40] As Paka moved westward, dry air and wind shear disrupted its development until it crossed the dateline on December 6.[4]

After entering the Western Pacific, the cyclone encountered a more favorable environment, resulting in rapid intensification. It became a typhoon on December 10[41] and passed near Kwajalein with winds of 120 mph (190 km/h). It strengthened further, twice reaching Category 5 intensity. While a super typhoon, Paka passed close to Guam on December 17, causing major damage. Afterwards, Paka encountered a hostile environment and had completely dissipated by the evening of December 22.[42]

Season effects

This is a table of the storms in 1997 and their landfall(s), if any. Deaths in parentheses are additional and indirect (an example of an indirect death would be a traffic accident), but are still storm-related. Damage and deaths include totals while the storm was extratropical or a wave or low, but do not include impacts in the Western Pacific basin.

Name Dates active Peak classification Sustained
wind speeds
Pressure Land areas affected Damage
(USD)
Deaths Refs
Andres June 1 – 7 Tropical storm 50 mph (85 km/h) 998 hPa (29.47 inHg) Mexico, El Salvador, Nicaragua Minimal 4
Blanca June 9 – 12 Tropical storm 45 mph (75 km/h) 1002 hPa (29.59 inHg) Mexico Minimal None
Three-E June 21 – 24 Tropical depression 35 mph (55 km/h) 1006 hPa (29.71 inHg) None None None
Carlos June 25 – 28 Tropical storm 50 mph (85 km/h) 996 hPa (29.42 inHg) None None None
Five-E June 29 – July 4 Tropical depression 35 mph (55 km/h) 1004 hPa (29.65 inHg) None None None
Dolores July 5 – 12 Category 1 hurricane 90 mph (150 km/h) 975 hPa (28.80 inHg) None None None
Enrique July 12 – 16 Category 3 hurricane 115 mph (185 km/h) 960 hPa (28.35 inHg) None None None
Felicia July 14 – 22 Category 4 hurricane 130 mph (215 km/h) 948 hPa (28.00 inHg) None None None
One-C July 26 – 27 Tropical depression 35 mph (55 km/h) 1007 hPa (29.74 inHg) None None None
Guillermo July 30 – August 15 Category 5 hurricane 160 mph (260 km/h) 919 hPa (27.14 inHg) Pacific coast of Mexico, California and Hawaii Unknown 3
Hilda August 10 – 15 Tropical storm 50 mph (85 km/h) 1000 hPa (29.53 inHg) None None None
Ignacio August 17 – 19 Tropical storm 40 mph (65 km/h) 1005 hPa (29.68 inHg) California, Pacific Northwest. Minimal Unknown
Jimena August 25 – 30 Category 4 hurricane 140 mph (220 km/h) 942 hPa (27.82 inHg) None None None
Oliwa September 2 – 3 Tropical storm 40 mph (65 km/h) 1004 hPa (29.65 inHg) None None None
Kevin September 16 – 18 Tropical storm 65 mph (100 km/h) 994 hPa (29.35 inHg) None None None
Linda September 9 – 17 Category 5 hurricane 185 mph (295 km/h) 902 hPa (26.64 inHg) Mexico, southern California $3.2 million None
Marty September 12 – 16 Tropical storm 45 mph (75 km/h) 1002 hPa (29.59 inHg) None None None
Nora September 16 – 26 Category 4 hurricane 130 mph (215 km/h) 950 hPa (28.06 inHg) Baja California, Southwestern United States 100 million 6
Olaf September 26 – October 12 Tropical storm 70 mph (110 km/h) 989 hPa (29.21 inHg) Mexico, El Salvador, Guatemala 18
Pauline October 5 – 10 Category 4 hurricane 130 mph (215 km/h) 948 hPa (27.99 inHg) Oaxaca, Guerrero $448 million 230-400
Three-C October 6 – 7 Tropical depression 35 mph (55 km/h) Not specified None None None
Four-C October 30 – 31 Tropical depression 35 mph (55 km/h) 1012 hPa (29.89 inHg) None None None
Rick November 7 – 10 Category 2 hurricane 100 mph (155 km/h) 973 hPa (28.74 inHg) Mexico Unknown None
Paka November 28 – 6 Tropical storm 65 mph (100 km/h) 992 hPa (29.30 inHg) None None None
Season Aggregates
24 systems June 1 – December 6 185 mph (295 km/h) 902 hPa (26.64 inHg) 551 million 261-531

Accumulated Cyclone Energy (ACE)

Accumulated Cyclone Energy
Rank Name ACE Rank Name ACE
1 Guillermo 37.0 (2.97) 11 Olaf 2.44
2 Linda 28.6 12 Andres 2.39
3 Nora 23.4 13 Hilda 1.74
4 Felicia 16.2 (0.665) 14 Kevin 1.56
5 Jimena 11.8 15 Blanca 1.13
6 Pauline 11.3 16 Carlos 0.970
7 Dolores 8.36 17 Marty 0.858
8 Enrique 7.88 18 Oliwa (0.810)
9 Rick 3.46 19 Ignacio 0.378
10 Paka (3.45)
Total: 160 (7.89)

Accumulated Cyclone Energy (ACE) is a measure of how active a hurricane season is. It is calculated by squaring the windspeed of a cyclone with at least tropical storm-force winds every six hours, summing the results, and dividing that total by 104. This explains why Hurricane Guillermo has a higher ACE than Linda. It was not as strong as that storm, but because it was above tropical storm force for a longer time, it reached a higher ACE level. As a tropical cyclone does not have gale-force winds until it becomes a tropical storm, tropical depressions are not included in these tables. For all storms, ACE is given to three significant figures. The ACE in the east Pacific proper (140°W to North America) is given; the ACE in the central Pacific (the international dateline to 140°W) is given in brackets.

The table includes the ACE for Oliwa and Paka only during those storm's time east of the dateline. Their ACE west of the dateline is part of the totals of the 1997 typhoon season.

The National Hurricane Center uses ACE to rank hurricane seasons as above-normal, near-normal, and below-normal.[43] This season has a total of 17 tropical storms, 9 hurricanes, and 7 major hurricanes. The total ACE of this season is 160*104 kt2 in the east Pacific proper. This qualifies this season as above-normal.[44]

Storm names

The following names were used for named storms that formed in the eastern Pacific in 1997. Names that were not assigned are marked in gray. The names not retired from this list were used again in the 2003 season. This is the same list used for the 1991 season except for Felicia, which replaced Fefa. A storm was named Felicia for the first time in 1997. Also, the name "Dolores" was misspelled "Delores" in the 1991 season; in this and subsequent seasons, the typo was corrected.[45]

  • Rick
  • Sandra (unused)
  • Terry (unused)
  • Vivian (unused)
  • Waldo (unused)
  • Xina (unused)
  • York (unused)
  • Zelda (unused)

For storms that form in the Central Pacific Hurricane Center's area of responsibility, encompassing the area between 140 degrees west and the International Date Line, all names are used in a series of four rotating lists. The next four names that were slated for use in 1997 are shown below, however, only two of them were used.

  • Upana (unused)
  • Wene (unused)

Retirement

The World Meteorological Organization retired one name in the spring of 1998: Pauline. It was replaced in the 2003 season by Patricia. In 2006, a name from the Central Pacific list was retired due to its effects west of the International Dateline in this season: Paka.[46] The name set to replace it is Pama.[47]

See also

References

  1. National Hurricane Center (2007). "Tropical Cyclone Climatology". Retrieved February 25, 2007.
  2. Neal Dorst. "Subject: G1) When is hurricane season?". FAQ: Hurricanes, Typhoons, and Tropical Cyclones. National Hurricane Center. Retrieved August 30, 2008.
  3. 1 2 3 4 5 6 "Eastern North Pacific Tracks File 1949-2007" (plain text). National Hurricane Center. March 21, 2008. Retrieved August 30, 2008.
  4. 1 2 3 4 5 6 7 8 9 Benjamin C. Hablutzel; Hans E. Rosendal; James C. Weyman; Jonathan D. Hoag. "The 1997 Central Pacific Tropical Cyclone Season". Central Pacific Hurricane Center. Archived from the original on October 30, 2005. Retrieved October 24, 2005.
  5. 1 2 3 Edward Rappaport (June 18, 1997). "Preliminary Report Tropical Storm Andres". National Hurricane Center. Archived from the original on September 25, 2005. Retrieved October 24, 2005.
  6. David M. Roth (2007). "Tropical Storm Andres Storm Total Rainfall Image" (GIF). Hydrometeorological Prediction Center. Retrieved February 15, 2007.
  7. "1997 flood archive". Dartmouth Flood Observatory. Retrieved March 18, 2007.
  8. 1 2 3 Lixion Avila (June 19, 1997). "Preliminary Report Tropical Storm Blanca". National Hurricane Center. Archived from the original on September 25, 2005. Retrieved October 24, 2005.
  9. David M. Roth (2009). "Tropical Storm Blanca (1997) Storm Total Rainfall". Hydrometeorological Prediction Center. Retrieved May 8, 2009.
  10. Miles Lawrence (June 24, 1997). "Preliminary Report Tropical Depression Three-E". National Hurricane Center. Archived from the original on September 22, 2008. Retrieved August 23, 2008.
  11. Max Mayfield (August 10, 1997). "Preliminary Report Tropical Storm Carlos". National Hurricane Center. Archived from the original on September 25, 2005. Retrieved October 24, 2005.
  12. Richard Pasch (July 7, 1997). "Preliminary Report Tropical Depression Five-E". National Hurricane Center. Archived from the original on September 22, 2008. Retrieved August 23, 2008.
  13. 1 2 Edward Rappaport (August 19, 1997). "Preliminary Report Hurricane Dolores". National Hurricane Center. Archived from the original on September 25, 2005. Retrieved October 24, 2005.
  14. Lixion Avila (August 15, 1997). "Preliminary Report Hurricane Enrique". National Hurricane Center. Archived from the original on September 25, 2005. Retrieved October 24, 2005.
  15. Miles Lawrence (August 23, 1997). "Preliminary Report Hurricane Felicia". National Hurricane Center. Archived from the original on September 25, 2005. Retrieved October 24, 2005.
  16. 1 2 Max Mayfield (October 2, 1997). "Preliminary Report Hurricane Guillermo". National Hurricane Center. Archived from the original on September 25, 2005. Retrieved October 24, 2005.
  17. Richard Pasch (December 12, 1997). "Preliminary Report Tropical Storm Hilda". National Hurricane Center. Archived from the original on September 25, 2005. Retrieved October 24, 2005.
  18. 1 2 3 Edward Rappaport (August 27, 1997). "Preliminary Report Tropical Storm Ignacio". National Hurricane Center. Archived from the original on September 25, 2005. Retrieved October 24, 2005.
  19. Jack Williams (May 17, 2005). "California's Tropical Cyclones". USA Today. Retrieved October 24, 2005.
  20. Stuart Hinson (1997). "California Event Report: Flash Flood". National Climatic Data Center. Retrieved June 29, 2009.
  21. Roth, David M; Weather Prediction Center (January 7, 2013). "Maximum Rainfall caused by Tropical Cyclones and their Remnants Per State (1950–2012)". Tropical Cyclone Point Maxima. United States National Oceanic and Atmospheric Administration's National Weather Service. Retrieved March 15, 2013.
  22. 1 2 Avilla, Lixion A; National Hurricane Center (September 16, 1997). Hurricane Jimena (Preliminary Report). United States National Oceanic and Atmospheric Administration's National Weather Service. Archived from the original on September 25, 2005. Retrieved June 24, 2012.
  23. "Data for Super Typhoon Oliwa". Unisys. Retrieved November 29, 2007.
  24. "Super Typhoon Oliwa (02C)" (PDF). Joint Typhoon Warning Center. Retrieved February 21, 2005.
  25. "Typhoon 199719 災害情報" (in Japanese). National Institute of Informatics. 1998. Retrieved July 21, 2010.
  26. Dartmouth Flood Observatory (2008). "1997 Flood Archive". Retrieved March 13, 2010.
  27. Miles Lawrence (November 4, 1997). "Preliminary Report Tropical Storm Kevin". National Hurricane Center. Archived from the original on September 25, 2005. Retrieved October 24, 2005.
  28. 1 2 Max Mayfield (October 25, 1997). "Preliminary Report Hurricane Linda". National Hurricane Center. Archived from the original on November 6, 2005. Retrieved October 24, 2005.
  29. National Weather Service (2004). "A History of Significant Local Weather Effects for San Diego" (PDF). p. 27. Archived from the original (PDF) on May 28, 2008. Retrieved August 30, 2008.
  30. Richard Pasch (December 12, 1997). "Preliminary Report Tropical Storm Marty". National Hurricane Center. Archived from the original on September 25, 2005. Retrieved October 24, 2005.
  31. 1 2 Edward Rappaport (October 30, 1997). "Preliminary Report Hurricane Nora". National Hurricane Center. Archived from the original on September 25, 2005. Retrieved October 24, 2005.
  32. Chris Landsea & Michael Chenoweth (November 2004). "The San Diego Hurricane of 2 October 1858" (PDF). Bulletin of the American Meteorological Society. p. 1689. Archived (PDF) from the original on September 20, 2008. Retrieved August 30, 2008.
  33. 1 2 3 Lixion Avila (November 5, 1997). "Preliminary Report Tropical Storm Olaf". National Hurricane Center. Archived from the original on September 25, 2005. Retrieved October 24, 2005.
  34. David M. Roth (2009). "Hurricane Olaf (1997) Storm Total Rainfall Graphic". Hydrometeorological Prediction Center. Retrieved May 8, 2009.
  35. "'Dangerous' Hurricane Pauline to hit southwest Mexico". CNN. October 8, 1997. Archived from the original on May 21, 2006. Retrieved March 18, 2007.
  36. 1 2 Miles Lawrence (November 7, 1997). "Preliminary Report Hurricane Pauline". National Hurricane Center. Archived from the original on September 25, 2005. Retrieved October 24, 2005.
  37. Estadísticas sobre los Riesgos a atenuar de Fenómenos Perturbadores Archived September 27, 2007, at the Wayback Machine.
  38. 1 2 Max Mayfield (November 23, 1997). "Preliminary Report Hurricane Rick". National Hurricane Center. Archived from the original on November 2, 2005. Retrieved October 24, 2005.
  39. David M. Roth. "Hurricane Rick Storm Total Rainfall Graphic" (GIF). Hydrometeorological Prediction Center. Retrieved February 15, 2007.
  40. "Paka track map" (GIF). Unisys. Retrieved October 24, 2005.
  41. "Tracking data for Super Typhoon Paka". Unisys. Retrieved November 29, 2007.
  42. "Super Typhoon Paka (05C)" (PDF). Joint Typhoon Warning Center. Retrieved February 21, 2006.
  43. Climate Prediction Center. "Background Information: East Pacific Hurricane Season". Archived from the original on October 6, 2006. Retrieved October 26, 2006.
  44. Climate Prediction Center. "East Pacific Hurricane Season Activity NOAA's Accumulated Cyclone Energy (ACE) Index". Archived from the original on October 6, 2006. Retrieved October 26, 2006.
  45. "Pacific hurricane name history" (Plaintext). Atlantic Tropical Weather Center. Retrieved October 24, 2005.
  46. Interdepartmental Hurricane Conference (2007). "The Nation's Hurricane Program: An Interagency Success Story" (PDF). Archived from the original (PDF) on March 10, 2009. Retrieved December 29, 2007.
  47. Dennis H. McCarthy (2007). "National Weather Service Instruction Tropical Cyclone Names and Pronunciation Guide" (PDF). Retrieved December 29, 2007.

External links

This article is issued from Wikipedia - version of the 11/24/2016. The text is available under the Creative Commons Attribution/Share Alike but additional terms may apply for the media files.